In pictures: Super Typhoon Haiyan disaster
Below are a collection of images from various news sources and websites of Super Typhoon Haiyan’s destruction across much of the Philippines. Read about the Super Typhoon on GeoJames here.

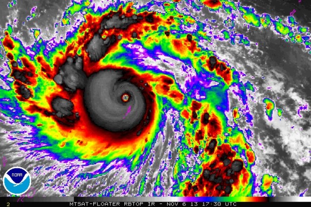
Typhoon Haiyan captured last Wednesday by NOAA (C) NOAA

NASA astronaut Karen Nyberg took this photo of Super Typhoon Haiyan from her home on the International Space Station on Nov. 9, 2013, one day after Haiyan devastated the Philippines. ()CNASA astronaut Karen Nyberg took this photo of Super Typhoon Haiyan from her home on the International Space Station on Nov. 9, 2013, one day after Haiyan devastated the Philippines.NASA astronaut Karen Nyberg took this photo of Super Typhoon Haiyan from her home on the International Space Station on Nov. 9, 2013, one day after Haiyan devastated the Philippines. (C) NASA via Karen Nyberg (@Astro_KarenN)

Satellite imagery of Haiyan before making landfall(C) BBC

Many people in Tacloban have been made homeless (C) BBC via Reuters News Agency

People stood among the ruins of houses destroyed by Typhoon Haiyan in Tacloban, Philippines, a city of about 220,000. (C) NY Times

Among the hardest hit places was the city of Tacloban, where the ferocity of the storm waves swept this ship ashore. (C) BBC via Reuters News Agency

Philippine and US military personnel load relief goods for Tacloban on board a US C-130 plane for victims of Super Typhoon Haiyan that hit the central Philippines, at a military base in Manila on 11 November 2013. In Manila, Philippine and US military personnel load relief goods for Tacloban. International rescue teams are heading for the area. (C) AFP

Satellite imagery showing the scale of Super Typhoon Haiyan
No copyright is intended, all sources have been referenced.
GeoJames.
Leave a comment