Storms, asteroids and vine: The stories of 2013
1. Haiyan strikes the Philippines
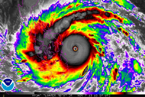
Super Typhoon Yolanda (Typhoon Haiyan) was by far 2013’s most reported natural event. The super-typhoon, which struck the Philippines in early November, was the deadliest on record, killing at least 6155 people, more than 2000 are still unaccounted for as we near 2014. In total, over 11 million people have known to be affected by the storm in SE Asia in some way. Yolanda was the strongest ever tropical storm to make landfall, winds were sustained at 275km/h and peaked at 315km/h. In the immediate aftermath the cost of the storm was expected to on the order of $1.5bln (USD). Current estimates suggest that over $3bln (USD) is needed to rebuild parts of the Philippines, the true cost has yet to be attained. GeoJames covered the story within hours of landfall – “Super Typhoon Haiyan: The Perfect Storm” and “Super Typhoon Haiyan: In Pictures” and was this blogs most read article in 2013.

(C) NOAA – Typhoon Haiyan making landfall in the Philippines.
2. St. Jude batters to the UK
A few week prior to Typhoon Yolanda, an extratropical cyclone affected many parts of north-west Europe, causing widespread flooding, power outages and felling trees, killing 17. St Jude, or Cyclone Christian (as it was named by the University of Berlin’s meteorological institute) wind’s reached 120.8mph in Denmark (a record for the Nordic state), with gusts of 99mph recorded on the Isle of Wight, England. Despite the advances meteorological forecasts and warnings by the Met Office, four Britons lost their lives.

3. Asteroid’s close encounter with Earth
In February, sky-watchers experienced a once-in-a-lifetime event as the asteroid “2012 DA14″ passed within 17,000 miles of the Earth. The 45m diameter, 130,000 tonne Near Earth-Object (NEO) which travelled at ~8km a second marked the closest known passing of a large asteroid.
4. Power of social media: Science in 6 seconds
During the summer, General Electric (GE) launched the world’s first #6SecondScience Fair, a week-long celebration of science on the popular social media app ‘Vine’. The #6SecondScience Fair had been hailed by many social media experts as one of Vine’s greatest great successes thus far. By the time the week concluded, over 600 projects had been submitted. From frog dissection to dry ice explosions, there was plenty of variety and some very unique science experiments. A selection of GE’s favourites can be viewed below on their official YouTube channel video.
It’s been an unforgettable year. Those are just some of the years headline stories which I have covered here on GeoJames.
Thank you from GeoJames

Global readership of GeoJames in 2013: United Kingdom, United States, India, Canada, Philippines, France, Russia, Austria, Germany, Poland, Spain, Latvia, Ireland, The Netherlands, Korea, Norway, Azerbaijan, United Arab Emirates, Brunei, Malaysia, New Zealand , Indonesia, Japan, Singapore, Pakistan, Hong Kong, Kenya, Saudi Arabia, Sweden, Qatar, Georgia, Italy, Czech Republic, Estonia, Bermuda, Jamaica, Australia, Brazil, Nigeria, Greece, Aruba, Denmark, Trinidad and Tobago, Cambodia, Ukraine, Senegal, Slovakia and Kuwait, phew!
I would like to take this opportunity to extend a massive thank you to all the readers and supporters of GeoJames. It’s hard to believe that the website only celebrates its first birthday next week!. GeoJamesBlog has been viewed in so many countries this year it’s hard to believe, so I’ve written them out to thank all the readers in each of the countries in the diagram opposite. And those are the countries with more than 1 view! So a massive thank you, to everyone. I hope that GeoJames can continue to go from strength to strength next year, there are a number of new, exiting projects I’m looking forward to being involved in, so watch this space….
Happy New Year from GeoJames!

Leave a comment